Chiều ngày 12-4, Trung tâm Dự báo khí tượng thủy văn quốc gia cập nhật thông tin mới nhất về diễn biến cơn bão Sinlaku.

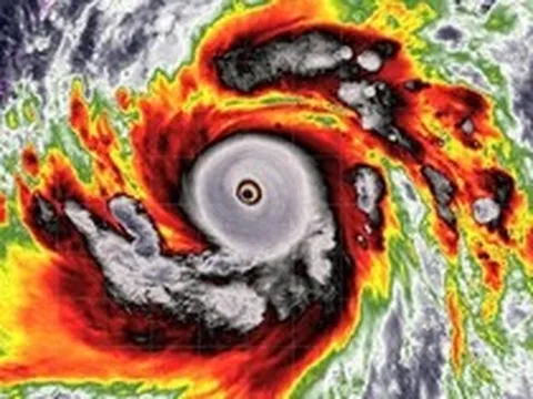
Hình ảnh vệ tinh của bão Sinlaku hoạt động trên khu vực Tây Bắc Thái Bình Dương
Sau 2 ngày mạnh lên thành bão, đến 13 giờ chiều nay 12-4, bão Sinlaku (cơn bão thứ 4 hoạt động trên khu vực Tây Bắc Thái Bình Dương) có vị trí ở vào khoảng 10,3 độ Vĩ Bắc - 150,7 độ Kinh Đông, cường độ đạt cấp 15 (xấp xỉ cấp siêu bão), giật trên cấp 17 và hiện vẫn còn cách Philippines khoảng gần 3.000 km.
Theo phân tích từ số liệu vệ tinh, hiện tại bão Sinlaku đang trong quá trình tăng cường độ nhanh, mắt bão rõ nét, vùng mây đối lưu phát triển mạnh và hoàn lưu đối xứng.
Các điều kiện môi trường trên vùng biển thuận lợi (nhiệt độ mặt nước biển cao, thông lượng nhiệt từ đại dương dồi dào, độ đứt gió tầng cao yếu) tạo điều kiện để bão tiếp tục mạnh lên nhanh trong 24 giờ tới.
Bão Sinlaku liệu có vào Biển Đông?
Dự báo trong 24 giờ tới, bão Sinlaku sẽ di chuyển theo hướng Tây Bắc với tốc độ khoảng 15 km/giờ và có khả năng sẽ mạnh lên thành siêu bão và đây sẽ là siêu bão đầu tiên hoạt động trên khu vực Tây Bắc Thái Bình Dương trong mùa bão lũ năm nay và là một trong số rất ít cơn siêu bão xuất hiện ngay trong tháng 4.
Theo các chuyên gia, cường độ của siêu bão Sinlaku mạnh nhất vào khoảng cấp 16-17, giật trên cấp 17; sau khi mạnh lên thành siêu bão, siêu bão Sinlaku sẽ đổi hướng di chuyển lên phía Bắc, sau đó nhiều khả năng sẽ tiếp tục đổi hướng một lần nữa thành hướng Bắc Đông Bắc vào khoảng ngày 16 đến 17-4 và di chuyển tới vùng biển phía Đông của Nhật Bản và cường độ sẽ giảm cấp dần.
Hiện tại, các dự báo bão đều cho thấy bão Sinlaku sẽ không có khả năng đi vào khu vực Biển Đông.
Trung tâm Dự báo khí tượng thủy văn quốc gia cho biết vẫn đang theo dõi sát diễn biến của siêu bão đầu mùa này.